





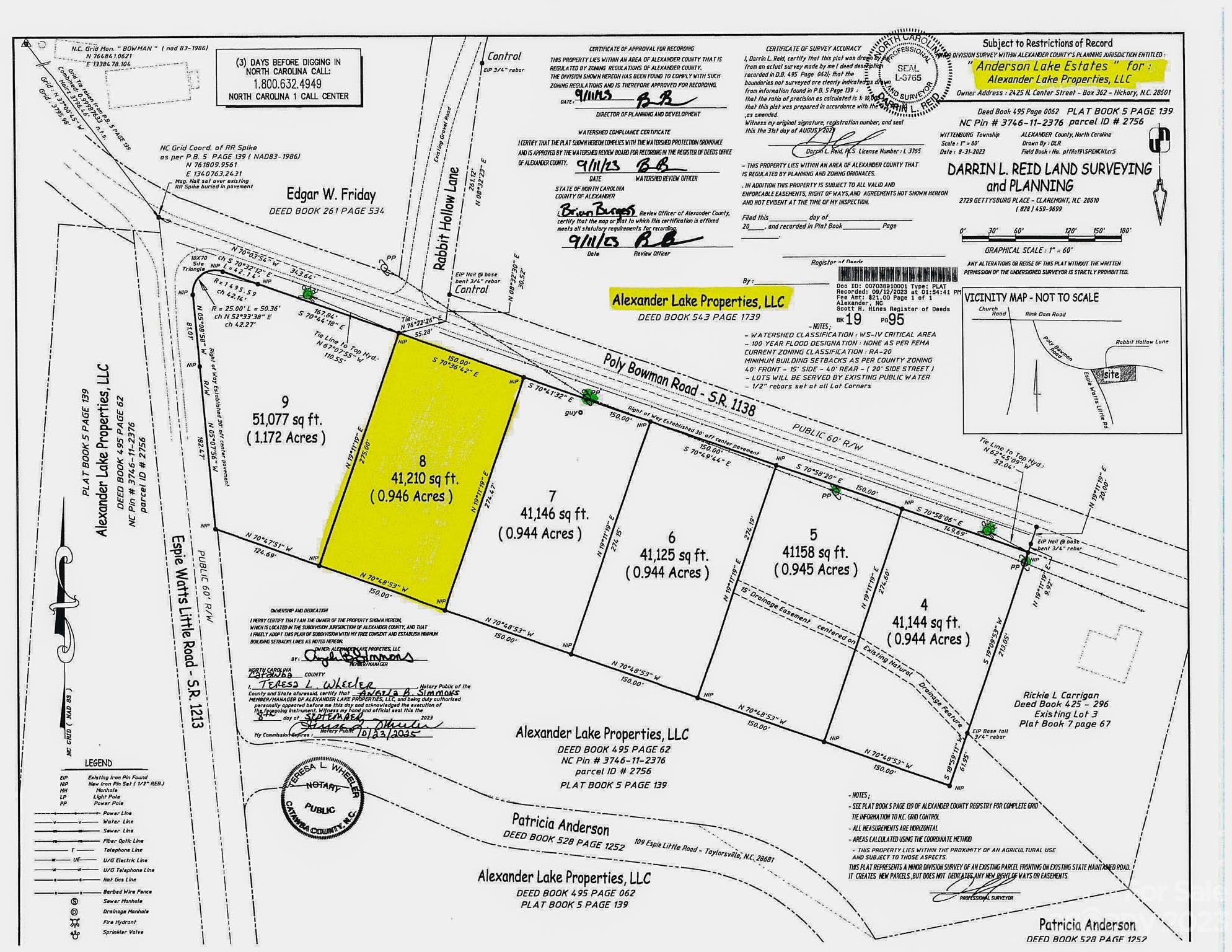
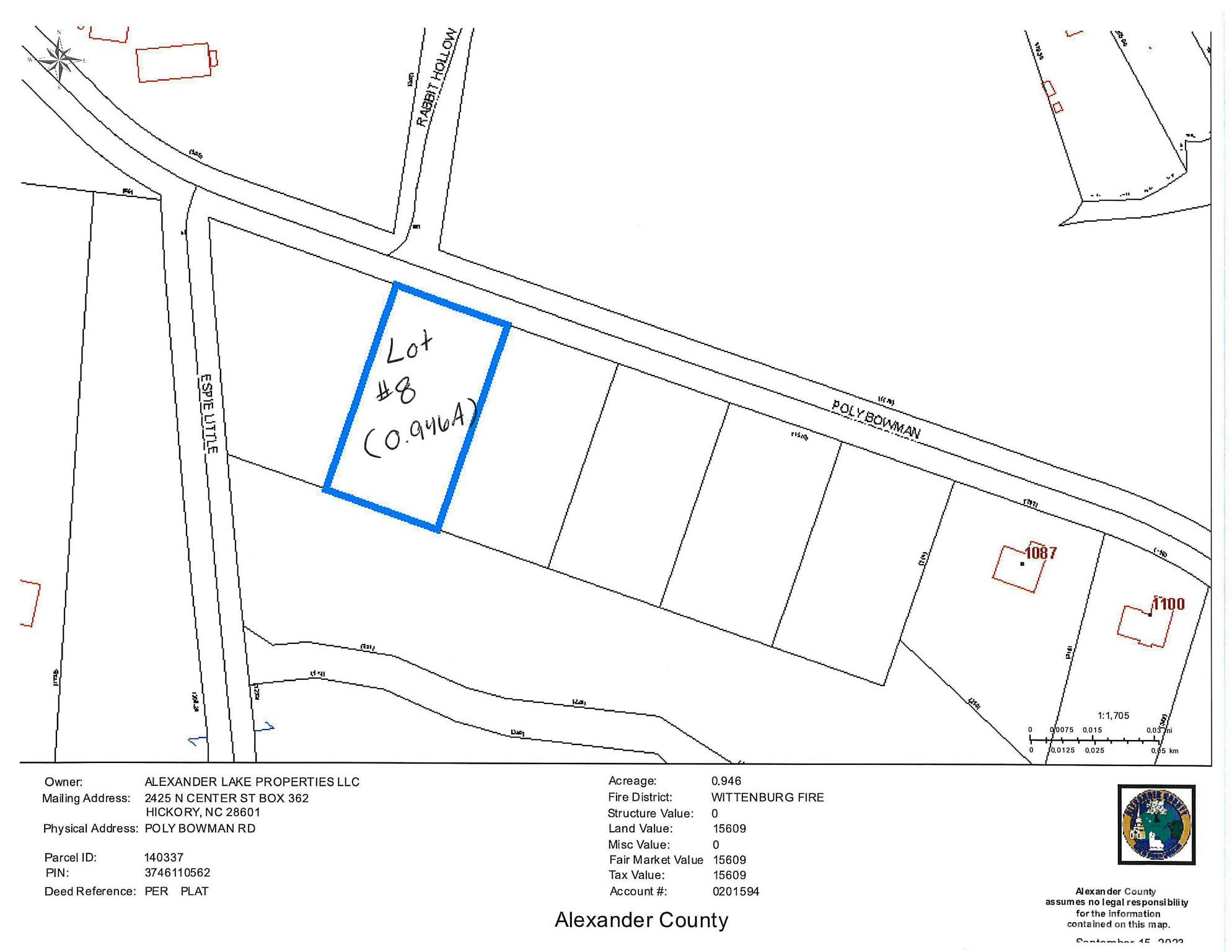
LOT #8 of "Anderson Lake Estates"/NC PIN#: 3746110562--newly developed lots. Enjoy a nice spacious lot offering 0.946 Acres. Public water available at street for buyer to tap onto, septic tank will be needed (buyer to do perc test with Alex. County Environmental Health). Restrictions (in Associated Docs) require size requirements to be 2100 sqft for a single story dwelling or no less than 2600 sqft for any 2 story dwelling--see DB: 666/PGS: 2383-2389 for all info. Setback requirements as per county zoning--40' front, 15' side, 40' rear - See PLAT Bk: 19/PG: 95 (in Associated Docs). Great location and close to Lake Hickory. Build your dream home here! *There is a farm nearby as well as chicken houses*.
Partner with Kathryn and Carly for a real estate experience rooted in expertise, integrity, and personalized care. As Hickory natives with decades of combined experience, they are committed to helping you achieve your goals with ease and confidence. Let them guide you home!
Contact Us