











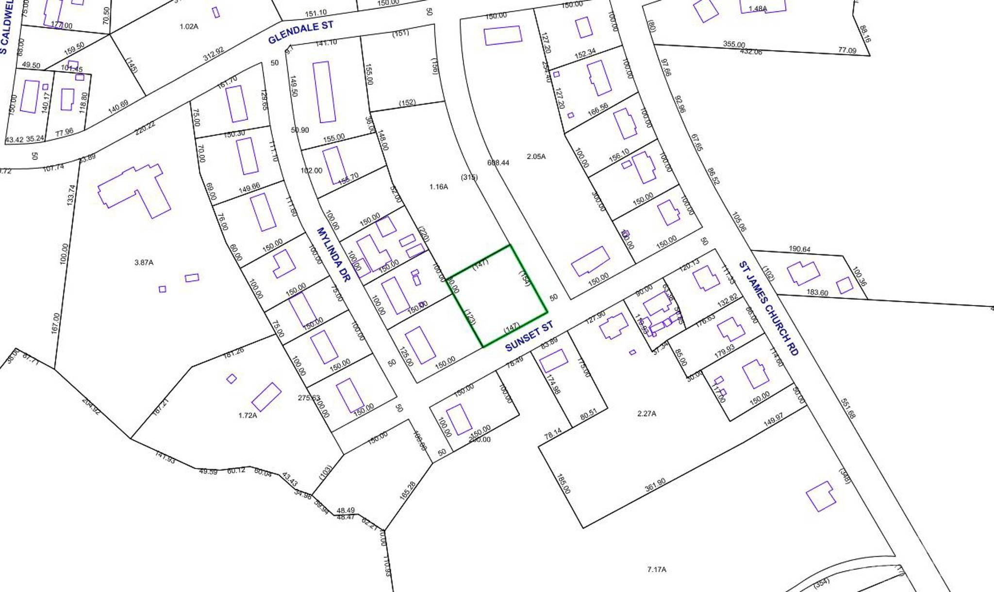
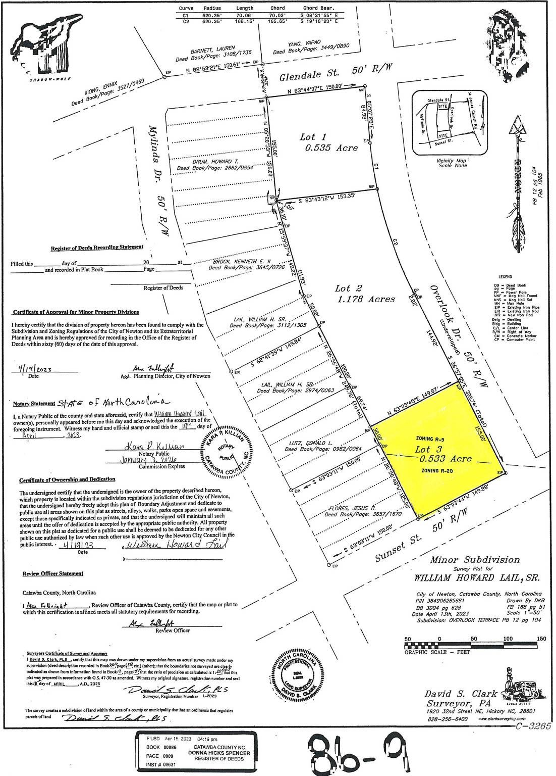
Nice building lot in the Newton area! Approx. 0.533 acres, wooded, and mostly level lot. Property was recently subdivided so the county does not have an official tax value for it yet...see email in "assoc docs". It is LOT #3 on the PLAT 86-9. Public water and sewer are nearby...please contact the City of Newton utility department (828-695-4310) to verify if buyer can tap onto city water and city sewer when building (Buyer to verify the tap fees and if possible or not). For possible sewer hookup, it may need a pump for the sewer...See email in "assoc docs". Zoning is split on lot...they are R-9 AND R-20...see diagonal line on PLAT 86-9. That line also divides city limits (R-9) and not in city limits (R-20) per Alex Fulbright at City of Newton planning (and fire districts). Per the PLAT 86-9 (in assoc docs)...there is an underdeveloped 50' R/W named "Overlook Drive" to the RT of the property. Restrictions per BK 834 Page 628. Convenient location!! CALL TODAY!
Partner with Kathryn and Carly for a real estate experience rooted in expertise, integrity, and personalized care. As Hickory natives with decades of combined experience, they are committed to helping you achieve your goals with ease and confidence. Let them guide you home!
Contact Us