






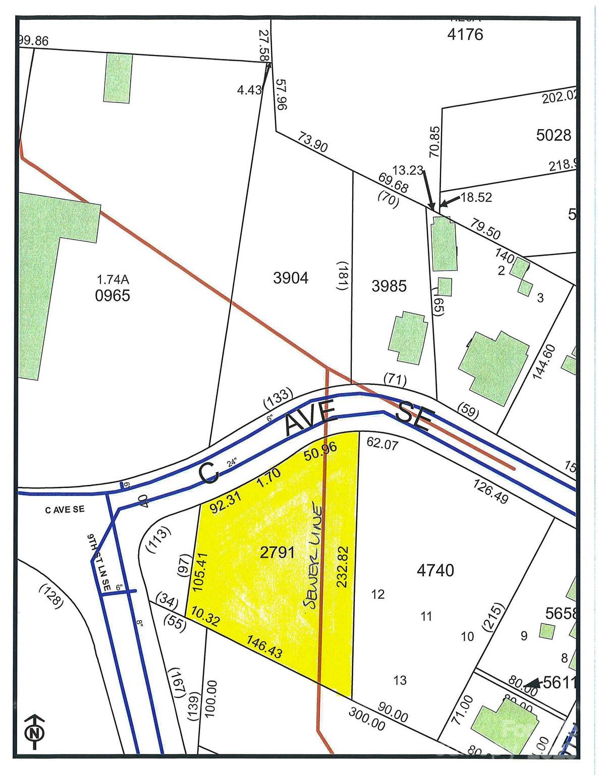
Nice 0.52 Acre lot located near Tate Blvd & Lenoir-Rhyne University. Sewer easement on the property--see map & associated docs for PDF of map & Q/A to/from City of Hickory Planning & Development (Cal Overby). The sewer line cannot have a building on it. Utility line easements are 25' in width. Setbacks per COH Planning/Dev: Front 20', Sides 5', and Rear 10'. Per COH, there isn't a min. sqftage amount rule BUT must pass all zoning and building requirements set forth by the City Of Hickory Planning Dept. Water and sewer access to be tapped onto by new buyer but city was not sure when spoke to them where is you would have to tap onto. **There is another 0.52 Acre lot across the street is for sale as well (MLS #4219471)**. Agents could not located any restrictions, buyer will want a closing attorney to search as well.
Partner with Kathryn and Carly for a real estate experience rooted in expertise, integrity, and personalized care. As Hickory natives with decades of combined experience, they are committed to helping you achieve your goals with ease and confidence. Let them guide you home!
Contact Us